土地 富山市岩瀬天神町
所在地
富山市岩瀬天神町
450万円
77.82坪
〇岩瀬浜海水浴場まで徒歩約6分♪
〇天気の良い日は、海辺の散歩も!
〇前面道路は融雪付きなので、冬場の雪かきや車の運転も安心!
〇敷地面積70坪以上!平屋の建築やお庭の確保も可能♪
【教育】
〇富山市立岩瀬小学校まで徒歩約13分
〇富山市立岩瀬中学校まで徒歩約33分
〇岩瀬保育所まで徒歩約13分
【周辺施設】
〇バロー北の森店まで約1965m
〇ファミリーマート富山岩瀬浜店まで約216m
〇ウエルシア富山岩瀬店まで約1508m
〇富山岩瀬郵便局まで約845m
〇北陸銀行岩瀬支店まで約884m
月々の
支払例
支払例
万円
年
%
円
※地方銀行/借入金450万円、返済期間40年、金利1.000%(変動)の場合
※審査により金利は変わる可能性があります。
物件概要
- 交通
-
富山地鉄富山港線 岩瀬浜駅 まで 徒歩2分
- 接道状況
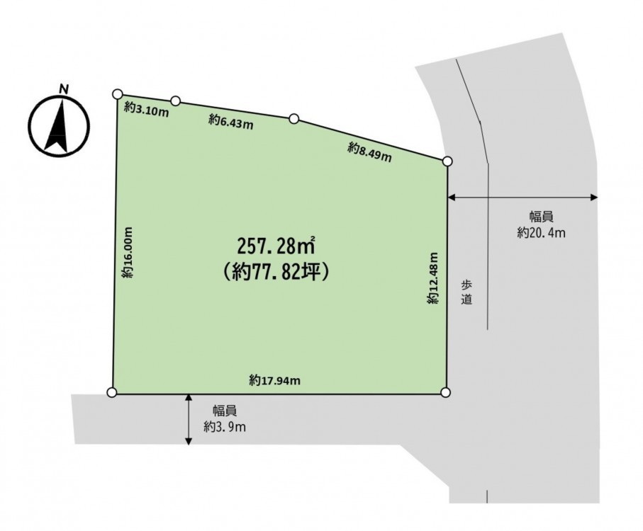
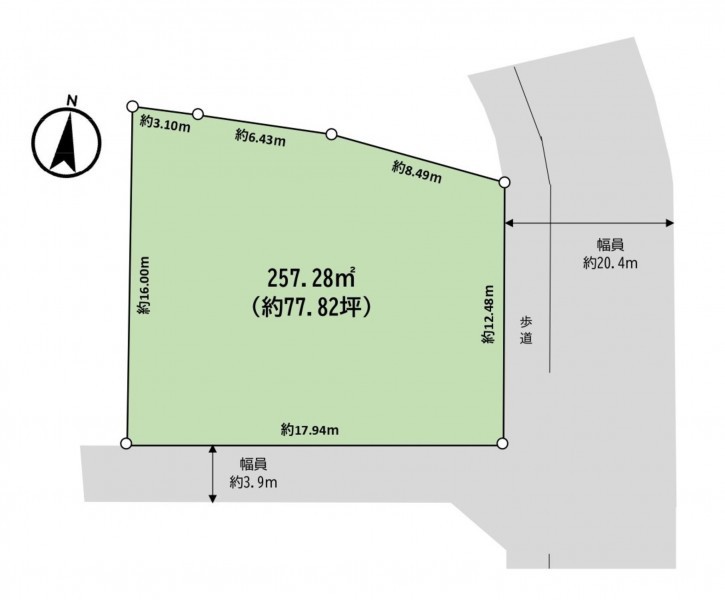
- 南側 公道3.9m 間口約17.9m
- 土地面積
- 公簿 257.28㎡ (77.82坪)
- 建ぺい率
- 80%
- 容積率
- 200%
- 土地権利
- 所有権
- セットバック
- 有り
- 小学校区
- 岩瀬 (1012m)
- 中学校区
- 岩瀬 (2632m)
- 私道負担
- 建築条件
- あり
- 地目
- 宅地
- 現況
- 更地
- 引渡時期
- 相談
- 上水道
- 公共
- 下水道
- 公共
- ガス
- 都市ガス
- 都市計画
- 市街化区域
- 用途地域
- 近隣商業
- 設備・条件
- 側溝
- 備考
-
・前面道路融雪あり
・東道路は臨港道路諏訪町線
- 取引態様
- 売主
建築条件付きの土地につきましては、土地売買契約締結後3カ月以内に当社との請負契約が成立しない場合には土地売買契約は解除され、受領した金額は全額無利息でお返しします。

